National Geographic Resolution spent the day crossing Baffin Bay headed for the Northen Canadian territory of Nunavut. Several sea birds followed the ship along its route throughout the day.
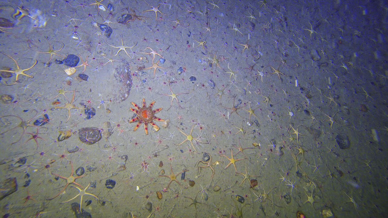
In the evening, the mountains of Nunavut came into view and the ship slowly cruised through the pass to arrive at Pond Inlet, the first destination in Canada of our expedition. Guests toured the hamlet and were treated to a fantastic cultural demonstration. The dive team dropped the ROV (remotely operated vehicle) to explore below the waves, down past 500 feet to the sea floor. With the sun low on the horizon but not yet set, everyone made it back on board before 11:00pm. What a day!!







